- 価格
-
1,680万円
| 所在地 | 埼玉県南埼玉郡宮代町本田2丁目 |
|---|---|
| 交通 |
|
| 駐車場 | 取引態様 | 専任 | |
|---|---|---|---|
| 引渡/入居時期 | 現況 | ||
| 地目 | 宅地 | 用途地域 | 第一種中高層住居専用 |
| 都市計画 | 市街化区域 | 地勢 | |
| 土地面積 | 125.79m² | 土地面積計測方式 | |
| 建ぺい率 | 60% | 容積率 | 200% |
| 土地権利 | 所有権 | 接道状況 | |
| 接道方向1 | 北西 | 接道間口1 | |
| 接道種別1 | 公道 | 接道幅員1 | 5m |
| 接道方向2 | 南西 | 接道間口2 | |
| 接道種別2 | 公道 | 接道幅員2 | 4m |
| 国土法届出 | 不要 | ||
| 周辺環境 |
笠原小学校 百間中学校 本田保育園・宮代須賀幼稚園・東武ストア東武動物公園駅前店・ピアシティ宮代・無印良品東武動物公園駅前店・ファミリーマート宮代本田店・クスリのアオキ宮代店・宮代郵便局 |
||
| 設備・条件 |
|
||
| 物件番号 | |||
| 物件カテゴリー | |||
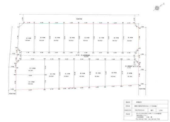
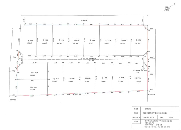
全14区画の大型開発分譲地
建築条件なし売地(2月末日)
総面積2153.68㎡
土地価格1,680万円~
A号地敷地面積:135.03㎡(40.54坪)
A号地:2,300万円・135.03㎡(40.54坪)/B号地:2,100万円・133.01㎡(40.23坪)/C号地:2,100万円・130.01㎡(39.32坪)/D号地:2,100万円・130.01㎡(39.32坪)/E号地:2,100万円・133.01㎡(39.32坪)/F号地:2,100万円・130.01㎡(39.32坪)/G号地:2,100万円・130.01㎡(39.32坪)/H号地:2,280万円・135.69㎡(41.04坪)/K号地:1,730万円・130.09㎡(39.34坪)/L号地:1,730万円・130.06㎡(39.34坪)/M号地:1,720万円・130.04㎡(39.33坪)/N号地:1,740万円・130.49㎡(39.47坪)/O号地:1,730万円・130.34㎡(39.42坪)/P号地:1,680万円・125.79㎡(38.05坪)
物件掲載内容と現況に相違がある場合は現況を優先といたします。
















